Information不動産情報
中古戸建 私的入札
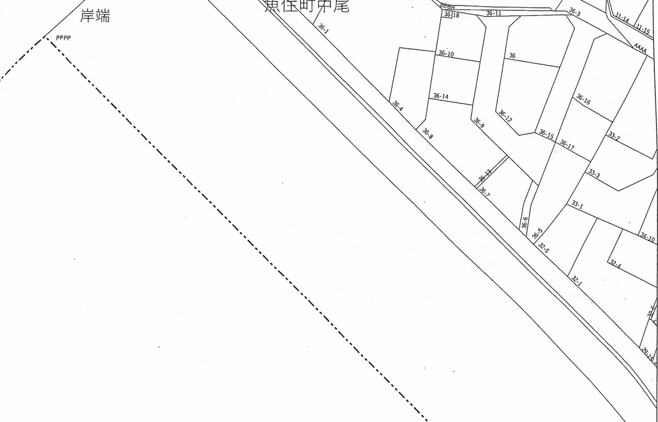
明石市魚住町 中古戸建 私的入札 締切日2/6
|
|
|
|
|
物件概要
| 交通 |
山陽本線 魚住 駅から徒歩11分 |
|---|---|
| 所在地 | 兵庫県明石市魚住町中尾字岸端 32番1、32番4 |
| 種目 | 中古戸建 | 取引態様 | 一般媒介 |
|---|
| 種目 | 中古戸建 |
|---|---|
| 取引態様 | 一般媒介 |
| 価格 | 私的入札 | 現況 | 空き家 |
|---|
| 価格 | 私的入札 |
|---|---|
| 現況 | 空き家 |
| 築年数 | 昭和52年11月 | 土地面積 | 533.51㎡ |
|---|---|---|---|
| 建物面積 |
延べ 119.6㎡ 1階 64.6㎡ 2階 55㎡ |
構造 | RC |
| 築年数 | 昭和52年11月 |
|---|---|
| 土地面積 | 533.51㎡ |
| 建物面積 |
延べ 119.6㎡ 1階 64.6㎡ 2階 55㎡ |
| 構造 | RC |
| その他 | ■内覧日:令和8年1月22日(木) 午前11時から午後2時迄 ■ 内覧申込書の提出期日:令和8年1月20日迄 ■入札期限:令和8年2月6日(金)午後5時 |
|---|---|
| 特記事項 | 【その他概要】 ■市街化区域 ■第1種住居地域 ■立地適正化計画:駅・主要バス停周辺居住区域(居住誘導区域) ■建蔽率 60% ■容積率 200% ■建築基準法第22条区域 ■第4種高度地区 ■宅地造成等工事規制区域 ■埋蔵文化財包蔵地(魚住古窯跡群) ■接道・・・前面道路は建築基準法第42条2項道路で、幅員は約3.7mしかありませんが、明石市狭あ い道路整備事業が実施されているためセットバックは不要です。 ■≪建物≫確認済証 昭和51年8月3日 第5203号 ■検査済証 未受検 ≪擁壁≫確認済証 昭和51年10月25日 第36号■検査済証 未受検 ■令和7年度固定資産評価額 家屋 5,142,800円 土地 11,691,600円/32番1 4,973,500円/32番4 |














